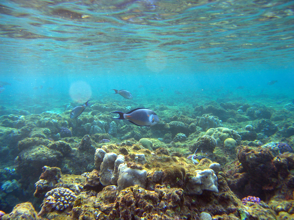
Sharm is great for snorkeling (and diving). The Naama Bay in the center of Sharm is not the greatest. But most of the hotels along the coast have direct access to top quality snorkeling experiences. The corals are not always intact (compared to further south in the Red Sea) but still very colorful and holds the plentitude of fish and other marine life that can keep you busy for hours in the water.
Do you want to know how to select a hotel with a beautiful house reef? See a previous post with examples. You can prepare this at home.
As you can learn in the underwater guide to the fish and on this website, I strongly recommend that you try to visit different type of underwater habitats in order to as many different fish species and other animals as possible.
Many of the Hotels of Sharm have access to the exposed outer reef, not leaving you many options to explore the sheltered reef or bays with seagrass. Fortunately there are many options for visiting other great locations on day-trips for snorkeling near Sharm. E.g by going south to Ras Mohamed Nature Reserve or the big blue around the reefs in Tiran Straits.
Amazing experiences are waiting for you in Sharm El-Sheikh!

The water temperature is always nice. It ranges from around 22-23 C in January/February to around 27-28 C in July/August. To know the temperature right now – click here.
At the site you can also get the tide table for Sharm area.


